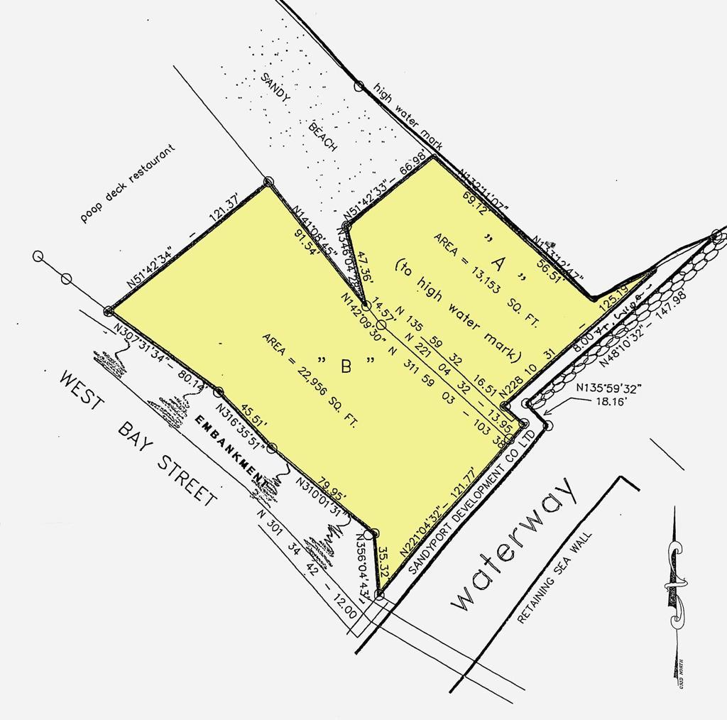
This 36,109 square foot vacant beachfront parcel of land sits at the western side of the entrance to the Sandyport canal system. This formally commercially-zoned parcel was converted into a residentially-zoned lot but has the potential to be converted back into a commercial property. This offers an incredible opportunity to develop something truly unique along the northwestern white sand coastline of New Providence. This property can sustain a number of different development types such as condominiums and has excellent visibility from both West Bay Street, the Sandyport canal and the neighboring areas. This is truly a rare opportunity call today to set up a showing!
Show all descriptionThe data relating to real estate for sale/lease on this website comes in part from a cooperative data exchange program of the Bahamas Multiple Listing Service (MLS) in which these Brokers participate Bahamas Real Estate Association (BREA). The properties displayed may not be all of the properties in the Bahamas MLS database, or all of the properties listed with Brokers participating in the cooperative data exchange program. Properties listed by Brokers other than this Broker/Agent are marked with the IDX Symbol, indicating an agreement to exchange property information. Detailed information about such properties are noted as Courtesy of: The Bahamas MLS. Information provided is thought to be reliable but is not guaranteed to be accurate. You are advised to verify facts that are important to you. No warranties, expressed or implied, are provided for the data herein, or for their use or interpretation by the user. This information is protected from unlawful duplication by copyright.
Enter your email address and we will send you a link to change your password.