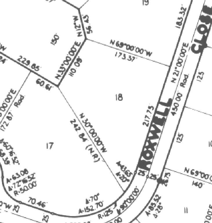
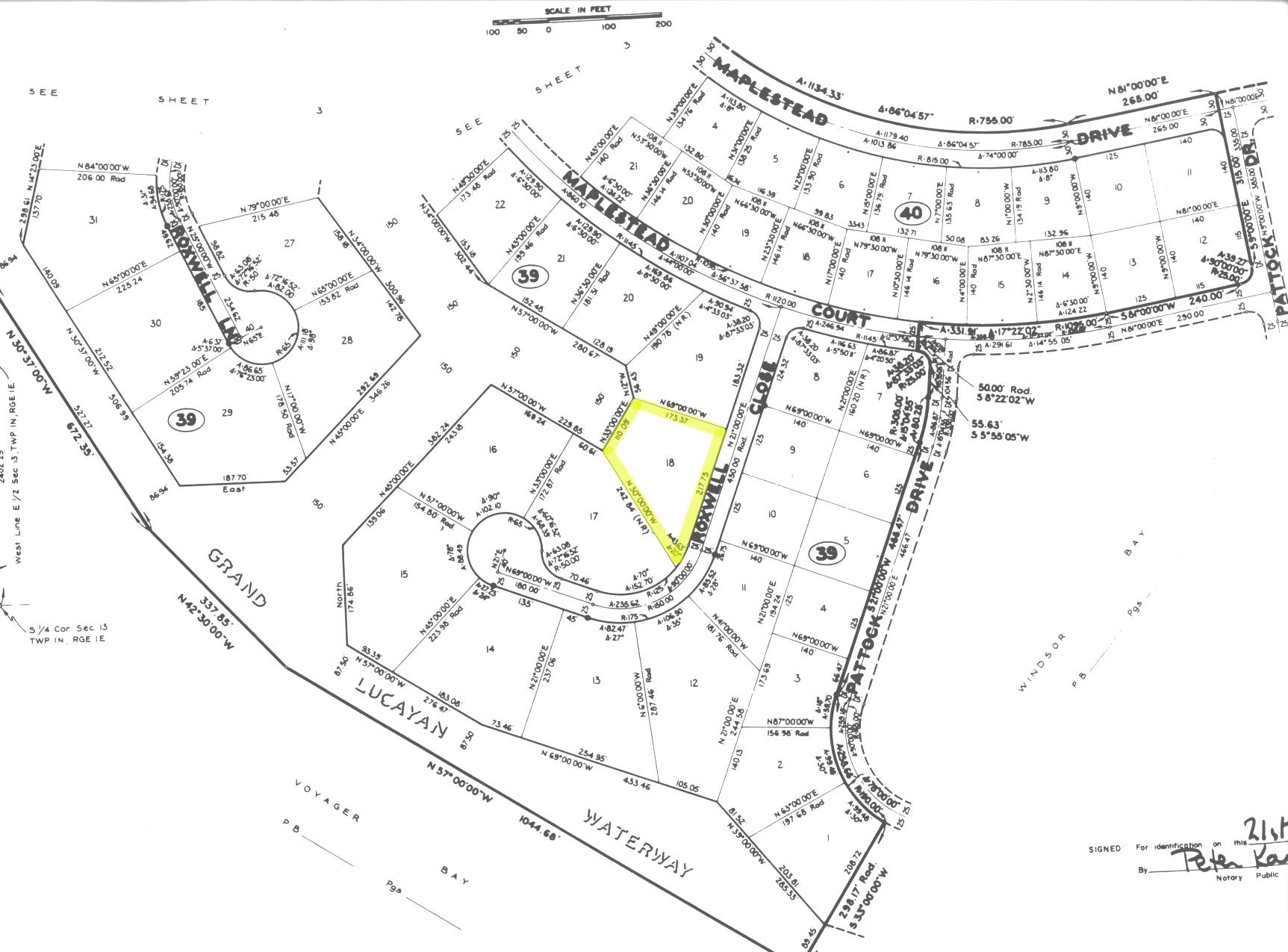
Vacant canal-front land located in the desirable Explorerâs Bay Subdivision on Roxwell Close, ideally positioned just off the Grand Lucayan Waterway. This expansive 35,283 sq. ft. (0.81-acre) parcel is zoned for high-rise multifamily development, making it an exceptional opportunity for investors and developers. The property offers 110 feet of water frontage with direct ocean access, perfect for a marina-style development or luxury waterfront residences. Enjoy the convenience of protected waterways while being moments from open water, boating, and the best of Grand Bahama living. Whether envisioned as upscale condominiums, apartments, or a mixed-use waterfront project, this rare offering combines size, zoning, and location in one highly sought-after area. An outstanding waterfront investment with limitless potential.
Show all descriptionThe data relating to real estate for sale/lease on this website comes in part from a cooperative data exchange program of the Bahamas Multiple Listing Service (MLS) in which these Brokers participate Bahamas Real Estate Association (BREA). The properties displayed may not be all of the properties in the Bahamas MLS database, or all of the properties listed with Brokers participating in the cooperative data exchange program. Properties listed by Brokers other than this Broker/Agent are marked with the IDX Symbol, indicating an agreement to exchange property information. Detailed information about such properties are noted as Courtesy of: The Bahamas MLS. Information provided is thought to be reliable but is not guaranteed to be accurate. You are advised to verify facts that are important to you. No warranties, expressed or implied, are provided for the data herein, or for their use or interpretation by the user. This information is protected from unlawful duplication by copyright.
Enter your email address and we will send you a link to change your password.