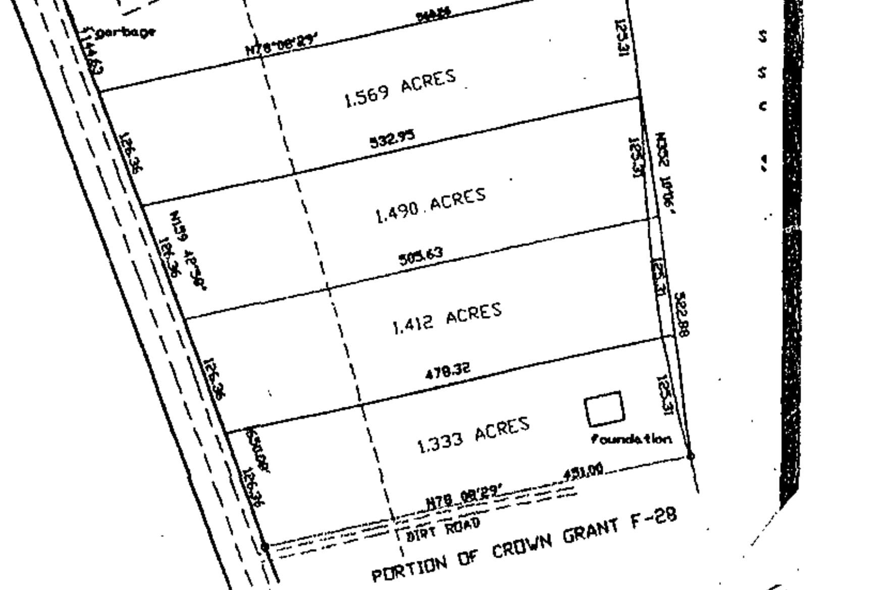
Lot 9 is a 1.412 acre multi-family beachfront property in Swains, Mangrove Cay offering an incredible opportunity to own a piece of paradise in one of The Bahamas' most peaceful and beautiful islands. With over 125 feet of pristine beachfront, it's ideal for a private residence, vacation rental, or multi-family development. As Mangrove Cay is recognized as one of the world's premier bonefishing regions, it's the perfect setting to create a bonefishing retreat. Located along the Queen's Highway with power and water already pulled to the property, it's ready for your vision. A true slice of Bahamian paradise and a smart investment opportunity. Price is in US currency.
Show all descriptionThe data relating to real estate for sale/lease on this website comes in part from a cooperative data exchange program of the Bahamas Multiple Listing Service (MLS) in which these Brokers participate Bahamas Real Estate Association (BREA). The properties displayed may not be all of the properties in the Bahamas MLS database, or all of the properties listed with Brokers participating in the cooperative data exchange program. Properties listed by Brokers other than this Broker/Agent are marked with the IDX Symbol, indicating an agreement to exchange property information. Detailed information about such properties are noted as Courtesy of: The Bahamas MLS. Information provided is thought to be reliable but is not guaranteed to be accurate. You are advised to verify facts that are important to you. No warranties, expressed or implied, are provided for the data herein, or for their use or interpretation by the user. This information is protected from unlawful duplication by copyright.
Enter your email address and we will send you a link to change your password.