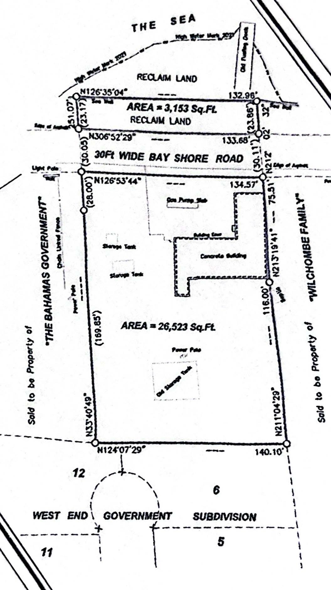
Exceptional investment opportunity! Situated in the historic Settlement of West End, this former S&D Service Station property offers two adjoining parcels of land with direct canal and road frontage. The property enjoys a strategic location just minutes from the Old Bahama Bay Resort, Police Station, on Bay Shore Road, making it ideal for commercial redevelopment or mixed-use potential. Property Highlights: Total Land Area: Approximately 29,676 sq. ft. (including reclaimed land) Main Parcel: 26,523 sq. ft. with existing concrete building, fuel pump island, and storage tanks Reclaimed Land Parcel: 3,153 sq. ft. extending to the Sea, offering dock potential Frontage: 134.57 ft. along Bay Shore Road (30 ft. wide) 132.96 ft. along the waterfront 191.50 ft. depth on the east boundary 169.85 ft. depth on the west boundary Zoning: Commercial/Industrial use â ideal for service station, marine operation, or redevelopment project Key Features: Canal and road access for both land and marine traffic Flat, cleared terrain with existing infrastructure High-visibility frontage in West Endâs
Show all descriptionThe data relating to real estate for sale/lease on this website comes in part from a cooperative data exchange program of the Bahamas Multiple Listing Service (MLS) in which these Brokers participate Bahamas Real Estate Association (BREA). The properties displayed may not be all of the properties in the Bahamas MLS database, or all of the properties listed with Brokers participating in the cooperative data exchange program. Properties listed by Brokers other than this Broker/Agent are marked with the IDX Symbol, indicating an agreement to exchange property information. Detailed information about such properties are noted as Courtesy of: The Bahamas MLS. Information provided is thought to be reliable but is not guaranteed to be accurate. You are advised to verify facts that are important to you. No warranties, expressed or implied, are provided for the data herein, or for their use or interpretation by the user. This information is protected from unlawful duplication by copyright.
Enter your email address and we will send you a link to change your password.