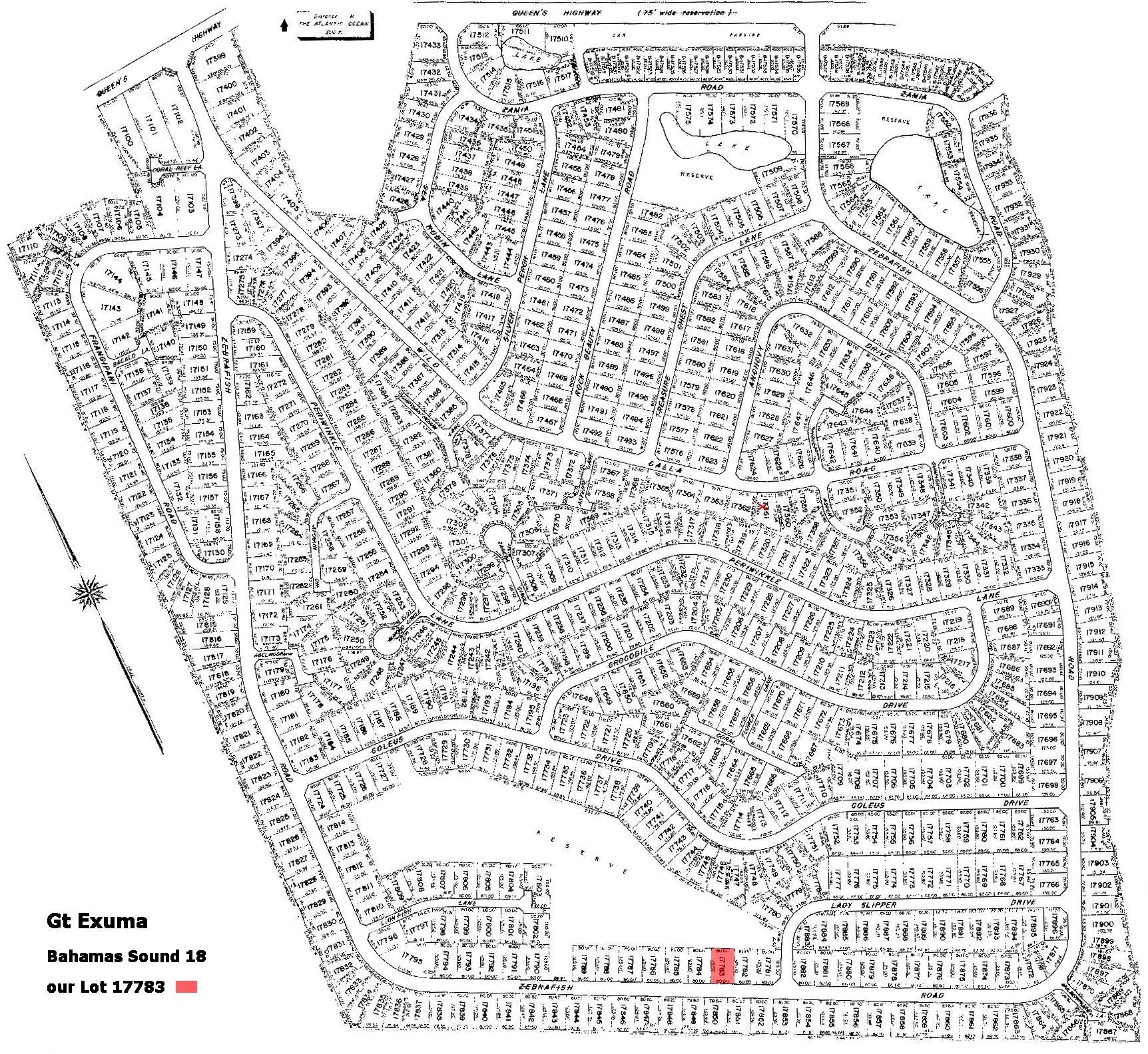
Vacant single-family lot located in Bahama Sound 18, a rapidly developing subdivision adjacent to Jolly Hall and Hooperâs Bay. Conveniently situated approximately 15 minutes from George Town and 20 minutes from Exuma International Airport, with grocery and hardware stores, liquor stores, a pharmacy, restaurants, and schools all within close proximity. Public beach access is within walking distance. Most utilities are available at the lot; water to be supplied via private well. An excellent opportunity to build in a desirable Exuma community. The neighboring lot (17204) is also available.
Show all descriptionThe data relating to real estate for sale/lease on this website comes in part from a cooperative data exchange program of the Bahamas Multiple Listing Service (MLS) in which these Brokers participate Bahamas Real Estate Association (BREA). The properties displayed may not be all of the properties in the Bahamas MLS database, or all of the properties listed with Brokers participating in the cooperative data exchange program. Properties listed by Brokers other than this Broker/Agent are marked with the IDX Symbol, indicating an agreement to exchange property information. Detailed information about such properties are noted as Courtesy of: The Bahamas MLS. Information provided is thought to be reliable but is not guaranteed to be accurate. You are advised to verify facts that are important to you. No warranties, expressed or implied, are provided for the data herein, or for their use or interpretation by the user. This information is protected from unlawful duplication by copyright.
Enter your email address and we will send you a link to change your password.