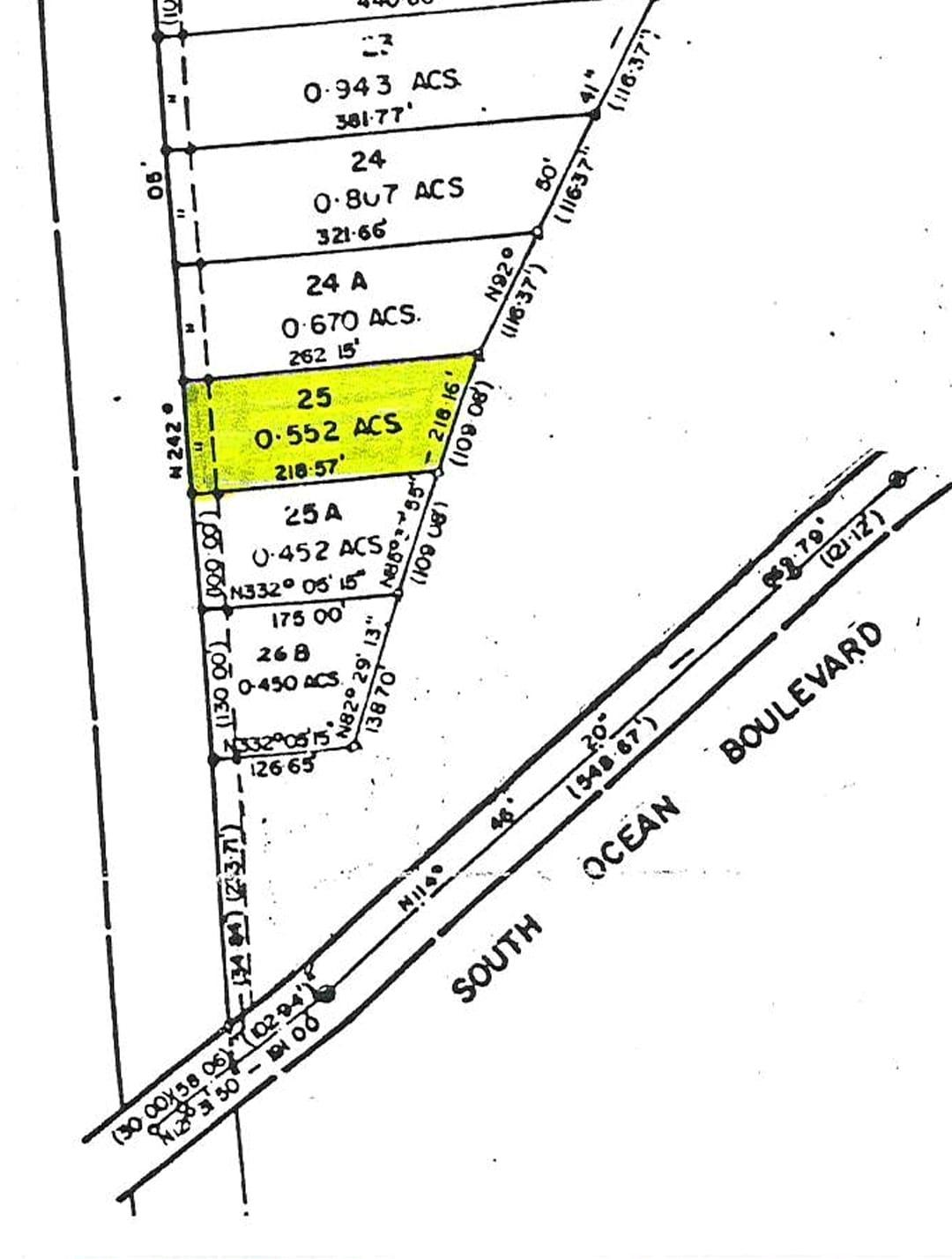
Prime Investment Opportunity: Rare Find, Huge, 24,000 sq.ft. MULTI-FAMILY Lot in South Ocean Area. Nearby world-class luxury destinations like Albany, Lyford Cay, Old Fort Bay, Airport and Western areas. âBuild your Income Property, vision on this expansive, Development Lot. (0.552 acre) This property offers a premier location without the gated price tag. Highlights: Great for townhouses or high-yield rental units. â Ready to Build: All utilities are already in place for immediate development. â Lifestyle & Access: Located just 5 minutes from pristine beaches and a short drive to the international airport, top-tier schools, gourmet supermarkets, and luxury shopping. â Smart Investment: Secure a footprint in an upward-trending neighborhood surrounded by the Bahamas' most prestigious communities. â Invest, develop, or land-bank in one of the most strategic locations in New Providence. Get it today, This one won't last long!
Show all descriptionThe data relating to real estate for sale/lease on this website comes in part from a cooperative data exchange program of the Bahamas Multiple Listing Service (MLS) in which these Brokers participate Bahamas Real Estate Association (BREA). The properties displayed may not be all of the properties in the Bahamas MLS database, or all of the properties listed with Brokers participating in the cooperative data exchange program. Properties listed by Brokers other than this Broker/Agent are marked with the IDX Symbol, indicating an agreement to exchange property information. Detailed information about such properties are noted as Courtesy of: The Bahamas MLS. Information provided is thought to be reliable but is not guaranteed to be accurate. You are advised to verify facts that are important to you. No warranties, expressed or implied, are provided for the data herein, or for their use or interpretation by the user. This information is protected from unlawful duplication by copyright.
Enter your email address and we will send you a link to change your password.