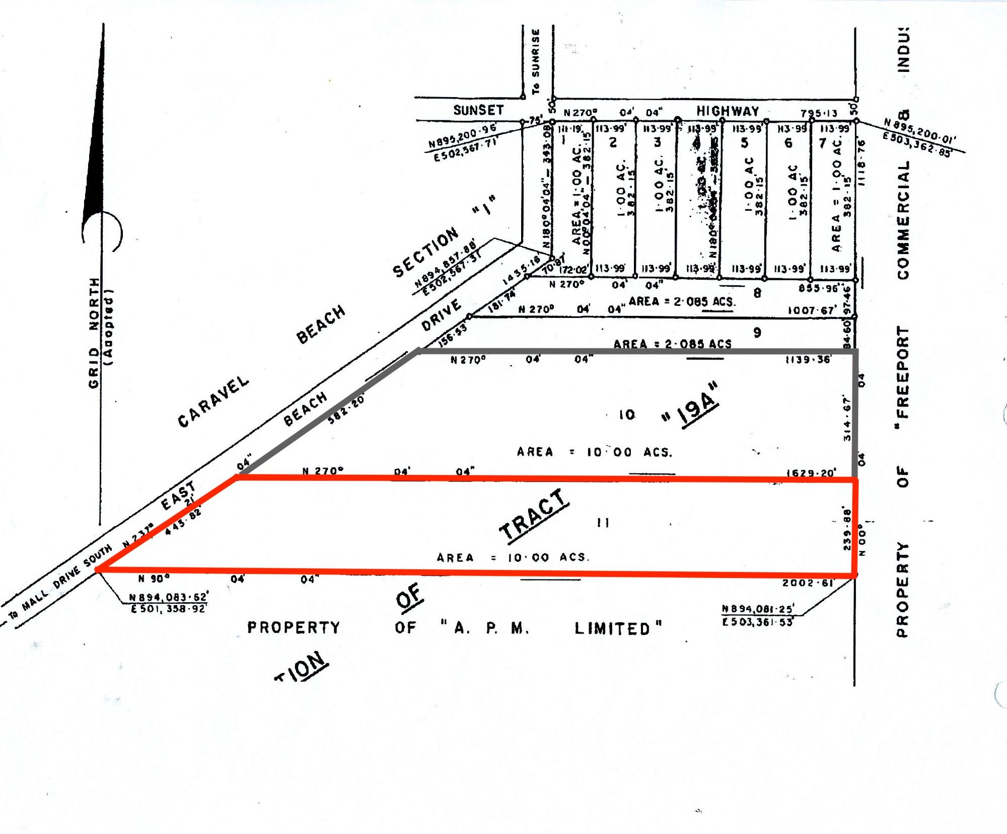
This exceptional 10-acre parcel is ideally situated in the center of Freeportâs thriving residential and commercial district. Offering a rare opportunity for housing or mixed-use development, this property provides ample space and flexibility for visionary builders and investors. Conveniently located just minutes from schools, churches, shopping centers, and downtown Freeport business district, the tract also enjoys quick access to both Grand Bahamaâs domestic and international airports. With its combination of location, size, and accessibility, this property truly stands out as a one-of-a-kind investment opportunity in one of Freeportâs most desirable areas.
Show all descriptionThe data relating to real estate for sale/lease on this website comes in part from a cooperative data exchange program of the Bahamas Multiple Listing Service (MLS) in which these Brokers participate Bahamas Real Estate Association (BREA). The properties displayed may not be all of the properties in the Bahamas MLS database, or all of the properties listed with Brokers participating in the cooperative data exchange program. Properties listed by Brokers other than this Broker/Agent are marked with the IDX Symbol, indicating an agreement to exchange property information. Detailed information about such properties are noted as Courtesy of: The Bahamas MLS. Information provided is thought to be reliable but is not guaranteed to be accurate. You are advised to verify facts that are important to you. No warranties, expressed or implied, are provided for the data herein, or for their use or interpretation by the user. This information is protected from unlawful duplication by copyright.
Enter your email address and we will send you a link to change your password.